Learn about the vital role surveyors play in maintaining and improving North Carolina's rail corridors.

Surveyors assist in dispensing the most accurate information about the NCRR corridor

Surveyors assist in dispensing the most accurate information about the NCRR corridor.

Overview

NCRR works closely with surveyors to assist in dispensing the most accurate information about the NCRR corridor.

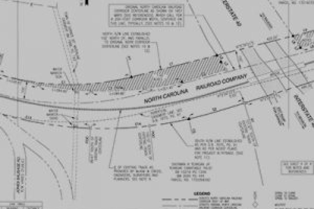
There are more than 9,000 properties that adjoin the 317-mile-long (with more than 600 miles of boundary line) NCRR corridor.  The following resources may aid surveyors in their work adjacent to the North Carolina Railroad:

Charlotte to Goldsboro

Pertinent sections are 1, 6, 17 and 25-31.  Recommended reference language:  “See Charter of The North Carolina Railroad Company 1848 – 49, N.C. Laws CH LXXXII (January 27, 1849) incorporating the North Carolina Railroad Company.”

Website

Goldsboro to Morehead City

Pertinent sections are 1, 16, 23 and 25-31.  Recommended reference language:  “See Charter of The Atlantic and North Carolina Railroad Company 1852, N.C. Laws CH CXXXVI (December 27, 1852) Incorporating the Atlantic and North Carolina Railroad Company.”

Website

circa 1850 – 1851

These show the location, extent and individual property owners from which NCRR acquired land. Recommended language when referencing these maps: “Property Maps of the North Carolina Railroad Company Prepared in 1851 Under the Direction of Walter Gwynn, Chief Engineer, Showing Centerline Information and a 200-Foot Wide Corridor, Typical”.

Website

For assistance identifying a railroad that is not owned by NCRR, access the Federal Railroad Administration (FRA) Geographic Information System (GIS). The FRA GIS identifies railroad owner/operator, as well as specific crossing and milepost numbers in order to accurately communicate your area of interest to railroad representatives when requesting property information, such as Valuation Maps.

Website

NCRR can refer individuals to local register of deeds offices for guidance on researching railroad deeds, which are public records filed there. However, because of inconsistent indexing and the age of these documents, locating them can sometimes be challenging. In addition to the deeds on file, research may also include records held by the County Clerk of Court’s office and the North Carolina State Archives.

Frequently Asked Questions

The North Carolina Railroad Company (NCRR) owns and manages the 317-mile rail corridor that stretches from Charlotte through the Triad and the Triangle to the Port in Morehead City. Click here for an interactive map of the North Carolina rail network.

A Right of Entry (ROE) is permission granted by an operating railroad for passage into a rail corridor. You must apply for a Right of Entry permit to obtain access to the rail corridor.

For health or safety emergencies at a railroad crossing dial 911 first. If you are currently at the crossing, look for the blue sign on the crossing signal pole. This sign will give you the telephone number to call and the crossing number to provide. In North Carolina the crossing is most likely operated by Norfolk Southern (1-800-946-4744) or CSX (1-800-232-0144). Tell them the city and street name when you call if you do not have the crossing number.

The North Carolina Railroad Company does not operate freight or passenger trains. Norfolk Southern operates the freight trains on the NCRR and Amtrak operates the passenger trains. The rail yards on the NCRR are also operated by Norfolk Southern.

Ready to get started?

Select and complete the application, and our team will reach out to you as soon as possible.

Gain onsite access

Apply for your Right of Entry permit to obtain access to the rail corridor.